Save
Ask
Tour
Hide
$29,000
22 Days On Site
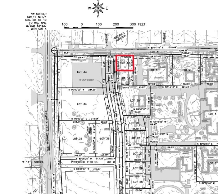
Lot 32 Mary Ingalls SubdivisionVinton, IA 52349
For Sale|Farm|Active
0
Beds
0
Total Baths
County:
Benton
Call Now: (319) 899-6162
Is this the listing for you? We can help make it yours.
(319) 899-6162
Save
Ask
Tour
Hide
Mortgage Calculator
Monthly Payment (Est.)
$132Calculator powered by Showcase IDX, a Constellation1 Company. Copyright ©2026 Information is deemed reliable but not guaranteed.
Welcome to the Mary Ingalls Subdivision. Part of history and part of the future. This property is located on the historic Vinton Braille School grounds along West 13th Street. Vinton-Shellsburg school system. Near grocery stores, restaurants, parks, trails, and other amenities. Lot 32. Bring your own builder. Covenants and plat are attached.
Save
Ask
Tour
Hide
Listing Snapshot
Price
$29,000
Days On Site
22 Days
Bedrooms
N/A
Inside Area (SqFt)
N/A
Total Baths
N/A
Full Baths
N/A
Partial Baths
N/A
Lot Size
0.21 Acres
Year Built
N/A
MLS® Number
2602214
Status
Active
Property Tax
$122
HOA/Condo/Coop Fees
N/A
Sq Ft Source
N/A
Friends & Family
Recent Activity
| 3 weeks ago | Listing first seen on site | |
| 3 weeks ago | Listing updated with changes from the MLS® |
General Features
Acres
0.21
Sewer
Public Sewer
Water Source
Public
Zoning
R
Save
Ask
Tour
Hide
Exterior Features
Lot Features
Level
Community Features
Financing Terms Available
CashConventional
MLS Area
OT-W (West of I-380)
School District
Vinton/Shellsburg
Schools
School District
Vinton/Shellsburg
Elementary School
Unknown
Middle School
Vinton/Shellsburg
High School
Vinton/Shellsburg
All or a portion of the multiple Listing information is provided by the Cedar Rapids Area Association of Realtors, from a copyrighted compilation of listings. All IDX information is provided exclusively for consumers’ personal, non-commercial use and may not be used for any purpose other than to identify prospective properties consumers may be interested in purchasing. All Cedar Rapids Area Association of Realtors MLS information provided is deemed reliable but is not guaranteed accurate. The compilation of Listings and each individual Listing are ©2026 Cedar Rapids Area Association of Realtors. All rights reserved.
Listing courtesy of Annie Kaestner of SKOGMAN REALTY.
Last checked 2026-04-24 12:41 PM CDT.
Listing courtesy of Annie Kaestner of SKOGMAN REALTY.
Last checked 2026-04-24 12:41 PM CDT.
Neighborhood & Commute
Source: Walkscore
Disclosure: Community information and market data powered by Constellation Data Labs. Information is deemed reliable but not guaranteed.
Save
Ask
Tour
Hide